Stauroneis baileyi and S. rex have longer and wider valves with more widely spaced striae. Stauroneis gracilis has curved proximal raphe ends.

LM scalebar = 10 µm
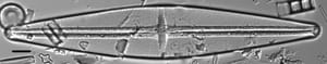
Length Range
129-199 µm
Width Range
26-35 µm
Striae in 10 µm
15-18
Stauroneis phoenicenteron LM5
Stauroneis phoenicenteron LM4
Stauroneis phoenicenteron LM3
Stauroneis phoenicenteron LM2
Stauroneis phoenicenteron LM1
Stauroneis phoenicenteron LM5 Stauroneis phoenicenteron LM4 Stauroneis phoenicenteron LM3 Stauroneis phoenicenteron LM2 Stauroneis phoenicenteron LM1

Stauroneis rex

Bahls 2010

Length Range
215-386 µm
Width Range
38-60 µm
Striae in 10 µm
12-14
Stauroneis rex LM6 Stauroneis rex LM2 Stauroneis rex LM5 Stauroneis rex LM1 Stauroneis rex LM3 Stauroneis rex LM7

Stauroneis gracilis

Ehrenb. 1843

Length Range
68-127 µm
Width Range
13-22 µm
Striae in 10 µm
15-18
Stauroneis gracilis LM7 Stauroneis gracilis LM6 Stauroneis gracilis LM1 Stauroneis gracilis LM4 Stauroneis gracilis LM3 Stauroneis gracilis LM2

Also compare to

Stauroneis baileyi

Ehrenb.